María se convierte en un potente huracán categoría 5 amenaza a Puerto Rico y a la República Dominicana.
El potente fenómeno María mantiene su trayectoria hacia las Antillas Menores, y tiene ne la mira Puerto Rico y a República Dominicana.
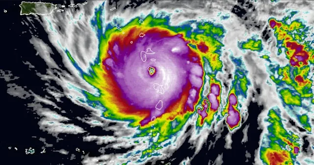
Santo Domingo, República Dominicana.-María se convirtió en un poderoso huracán categoría 5, a tan solo pocas horas de haber subido a 4, y ahora tiene vientos máximos sostenidos 257 kilómetros por hora (kph).
El boletín más reciente del Centro Nacional de Huracanes (CNH), con sede en Miami, EE.UU.M, recordó que sin aún tiempo para recuperarse de la experiencia traumática del devastador huracán Irma, el Caribe se prepara para encajar la acometida del “peligroso” nuevo huracán, mientras Florida cruza los dedos para escapar a su golpe.
María está a punto de azotar las Antillas Menores con su categoría 5, la máxima en la escala de intensidad Saffir-Simpson, y los pronósticos de los meteorólogos apuntan a que podría intensificarse en los próximos días, como ya hizo Irma la semana pasada.
María presenta vientos máximos sostenidos de 160 millas por hora (260 km/hora) y se encuentra a unas 15 millas (25 kilómetros) a este sureste de Dominica y a 40 millas (70 kilómetros) al noreste de Martinica, ambas en las Antillas Menores,
El patrón de trayectoria del CNH, con sede en Miami, sitúa a María esta tarde y noche sobre las Islas de Sotavento para luego desplazarse el martes por el nordeste del Caribe y aproximarse a Puerto Rico y las Islas Vírgenes el miércoles.
Las poblaciones de las Antillas Menores aún se encuentran bajo el shock causado por el paso del huracán Irma, de categoría 5, que dejó al menos 26 muertos en el Caribe y dañó entre el 60 y 80 % de los edificios en muchos de los territorios de las Islas Vírgenes británicas y estadounidenses, así como en Antigua y Barbuda.
El caso más dramático es el de la pequeña isla de Barbuda, en el este del Caribe, con una población de unos 1,600 habitantes, que ha sido declarada inhabitable.
En estos momentos, la práctica totalidad de las islas de las Antillas Menores se hallan bajo aviso de huracán, entre otras Guadalupe, Dominica, San Cristóbal y Nieves, Montserrat y Santa Lucía, así como las Islas Vírgenes estadounidenses y británicas
Por el momento se desconoce si María llegará a tocar tierra en Estados Unidos, pero el cono de proyección de su trayectoria en la mayor parte de los modelos por computadora sitúan su radio de acción fuera de la península floridana.
Pese a que el 90 % de los usuarios de Florida ha recuperado ya el suministro eléctrico una semana después del paso del huracán Irma por el estado, miles de hogares, oficinas o negocios permanecen todavía sin luz ni aire acondicionado.
Por condados, el de Miami-Dade, el más poblado de Florida, contabiliza hoy todavía 52.290 usuarios sin electricidad, de un total de 1.114.000 clientes, y en el condado de Broward, vecino de Miami-Dade, 12.990 usuarios permanecen sin fluido eléctrico, de un total de 933.300 abonados de la compañía Florida Power & Light (FPL) en ese área.
En cuanto a los residentes en la costa oeste del estado, por donde Irma entró el pasado día 10 de septiembre al territorio continental de EE.UU., el condado de Collier, uno de los más castigados por Irma, contabiliza 58.660 clientes sin luz, de un total de 210.700.



No hay comentarios